INTRODUCCION
El escleromixedema es un tipo de mucinosis caracterizada por la presencia de pápulas liquenoides e induración difusa de la piel 1. En muchos casos se asocia a gammapatía monoclonal y trastornos sistémicos 2,3. Histológicamente, se observan depósitos de mucina en la dermis reticular superior y media, aumento de colágeno y proliferación de fibroblastos irregularmente distribuidos 1-4.
Los estudios ultrastructurales son escasos 5-9. Se describen los hallazgos al microscopio electrónico de transmisión de un caso que hemos tenido oportunidad de estudiar, y cuyas características clínicas e histopatológicas ya fueron publicadas en esta revista 10.
DESCRIPCION DEL CASO
Una mujer de 56 años presentaba, desde hacía 16 años pápulas liquenoides, céreas, de pocos mm de diámetro, que se localizaban en la cara, parte superior del tronco, antebrazos, dorso de las manos, rodillas y pies. Las lesiones asentaban sobre una piel indurada, eritematosa, brillante y con edema. Se acompañaba de gammapatía monoclonal IgG λ. La enfermedad siguió un empeoramiento progresivo con acentuación de las lesiones cutáneas y aparición de diferentes manifestaciones sistémicas (disfagia, odinofagia, astenia, artralgias y miopatía) que imposibilitaban la vida cotidiana.
Los análisis de laboratorio efectuados mostraron como datos más relevantes velocidad de sedimentación globular (VSG) de 87 mm a la primera hora, creatina fosfocinasa (CPK) 162 U/l (normal < 150 U/l), IgG l monoclonal de 10,9 g/l y gammapatía policlonal de 6,2 g/l. El estudio de hormonas tiroideas fue normal.
El estudio con el microscopio óptico de la piel con hematoxilina-eosina mostró depósitos de mucina en la dermis reticular superior y media, esclerosis y proliferación de fibroblastos con aspecto alargado o estrellado. Las tinciones especiales de azul alcian y hierro coloidal mostraron positividad para mucina. La biopsia de médula ósea fue normal.
Se realizó tratamiento con ciclos de melfalán y prednisona, y se obtuvo mejoría parcial de sus lesiones cutáneas y remisión de la sintomatología sistémica.
Para el estudio de microscopia electrónica de transmisión (MET), las piezas de 5 x 2 mm fueron fijadas en glutaraldehído al 5 %, tamponado con tampón fosfato 0,1 M, a pH 7,4 durante 2 h. Posteriormente, las piezas fueron lavadas con el mismo tampón y posfijadas con tetróxido de osmio al 1 %. La deshidratación se realizó en acetona a concentración creciente y tras contrastar las piezas con acetato de uranilo al 2 %, se incluyeron en epon-812. Las zonas interesantes se localizaron en cortes semifinos, obtenidos con un ultramicrotomo LKB-5, que fueron teñidos con azul de toluidina. Los cortes ultrafinos se contrastaron mediante citrato de plomo y acetato de uranilo y se observaron en un microscopio electrónico de transmisión, Zeiss EM-109.
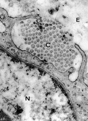
El estudio ultraestructural puso de relieve la presencia en la dermis de abundantes fibroblastos, dispuestos entre gruesos paquetes de fibras de colágeno y amplias formaciones redondeadas de material mucoide (fig. 1). Los fibroblastos mostraban las características de células sumamente activas. Presentaban un núcleo con cromatina laxa y nucléolo evidente, con una membrana doble que mostraba varios poros nucleares (figs. 2 y 3). En el citoplasma destacaba un retículo endoplásmico rugoso prominente, muchas de cuyas cisternas aparecían dilatadas, por lo que le conferían un aspecto vesicular. Así mismo, la dotación mitocondrial era importante, junto a las vesículas con un contenido de baja electrodensidad. En algunos de los fibroblastos se apreciaba cómo liberaban las vesículas de aspecto mucinoso al espacio intercelular (fig. 2). Completaba la elevada actividad de estas células la presencia, en algunas de ellas, de fibras de colágena recién polimerizadas, liberándose mediante la emisión de prolongaciones citoplasmáticas, a modo de pseudópodos (fig. 3) y que una vez en el espacio intercelular, se acoplaban formando gruesos paquetes de colágeno.
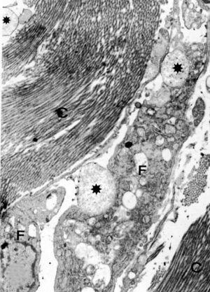
Fig. 1.--Sección longitudinal de fibroblasto (F), entre gruesos paquetes de fibras de colágeno (C). *: vesículas de sustancia mucoide. (Aumentos, x7.250.)
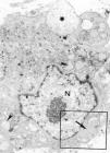
Fig. 2.--Fibroblasto cortado transversalmente, muestra la riqueza de organelas características de una célula en gran actividad de síntesis. N: núcleo con nucléolo evidente. *: vesícula de sustancia mucoide. Punta de flecha: cisternas dilatadas de retículo endoplásmico rugoso. Flecha: paquete de fibras de colágena. Recuadro: fig. 3. (Aumentos, x12.500.)
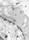
Fig. 3.--Detalle correspondiente al recuadro señalado en la fig. 2, en el que se puede apreciar cómo el fibroblasto libera las fibras de colágeno (C) al espacio intercelular (E). N: núcleo. (Aumentos, x39.000.)
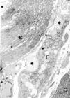
Se distinguían también células de aspecto fibroblástico, en menor número y con escaso contenido de retículo endoplásmico rugoso, en las que destacaba la presencia, dentro del citoplasma, de fibras de colágeno incluidas en formaciones vacuoladas que tenían la misma característica del espacio extracelular. Estas fibras de colágeno intracelulares aparecían aisladas o en pequeños grupos y sin ningún tipo de ordenación concreta. Junto a ellas se distinguía alguna vesícula de baja electrodensidad como las observadas en los fibroblastos típicos (fig. 4).
Fig. 4.--Célula de aspecto fibroblástico que muestra fibras de colágeno, aisladas o en grupos, cortadas en distintas direcciones, y distribuidas en espacios intracitoplásmicos (flechas). *: vesícula de sustancia mucoide. (Aumentos, x12.000.)
DISCUSION
La MET pone de manifiesto la existencia de fibroblastos, con una gran actividad de síntesis y liberación tanto de fibras de colágeno como de material de baja electrodensidad compatible con sustancia de tipo mucoide. La cantidad de eucromatina y poros nucleares, índice de paso fluido de información del núcleo al citoplasma, es reflejo morfológico de la actividad citada, que hace que el gran número de fibras de colágeno constituyan gruesos paquetes intercelulares, como indican otros autores 5,9.
Por otra parte, llaman la atención en este caso, varios aspectos como son el retículo endoplásmico rugoso dilatado y las voluminosas vesículas del componente mucoide, tanto intracelulares como extracelulares; la disposición de las fibras colágenas en haces inusualmente gruesos en la dermis, y la presencia de las células con importante acumulación intracitoplasmática de fibras colágenas. Estos hallazgos ultraestructurales constatan la existencia de una situación anómala que puede tener una doble interpretación. Por un lado, como una exacerbada síntesis de moléculas de tropocolágena, que provoca que la polimerización de las mismas se produzca ya en el propio citoplasma, formando, por tanto, fibras de colágeno antes de ser liberadas al espacio extracelular como sucede en condiciones normales. Por otro lado, dicha presencia de fibras de colágeno intracelulares en algunas células de aspecto fibroblástico se puede interpretar como un mecanismo de respuesta autoagresiva (autoinmune), en el que serían los propios fibroblastos los que llevarían a cabo una acción de captación del exceso de colágeno y de componente mucoide del espacio extracelular. Así se explica la presencia de inclusiones que Schmidt y Zabel 7 describen como heterolisosomales o autolisosomales, puesto que las imágenes ponen de manifiesto que no se trata de células claramente macrofágicas debido a la ausencia de lisosomas típicos como los que describen Danielsen y Kobayasi 6 o Ferrarini et al 8. Esta actividad de los propios fibroblastos justificaría, tal como señalan Hardmeier y Vogel 5, el éxito del tratamiento inmunosupresor en estos casos.
Cabe señalar finalmente que, al contrario de hallazgos descritos por distintos autores 5,6,9, en nuestro estudio ultraestructural, no se ha observado aumento de mastocitos ni de fibras elásticas y tampoco duplicación de la membrana basal que rodea a las células endoteliales de los capilares.
AGRADECIMIENTOS
Agradecemos la asistencia técnica para la microscopia electrónica de Carlos Villa y Fernando Jáñez, de la unidad de Microscopia Electrónica y Microanálisis, de los Servicios Científico-Técnicos de la Universidad de Oviedo.






