INTRODUCCIÓN
La micosis fungoide (MF) y el síndrome de Sézary (SS) son linfomas cutáneos primarios caracterizados por una proliferación neoplásica de linfocitos T de pequeño o mediano tamaño con núcleo cerebriforme (1). Algunos pacientes con MF/SS desarrollan a largo plazo de su evolución un cambio en la morfología celular con transformación de las células de pequeño o mediano tamaño en células grandes, de núcleo oval o irregular y nucléolo prominente (2-6). En general se acepta que cuando estas células grandes constituyen más del 25% del infiltrado, o bien forman nódulos microscópicos, la MF/SS se ha transformado en linfoma de células grandes (LCG) (3).
La transformación a LCG aparece con una frecuencia variable, dependiendo de los criterios que se utilicen para definirla y de la selección de pacientes, oscilando entre el 8-55% de los casos de MF/SS (2-6). Con frecuencia se acompaña de una evolución más agresiva de la enfermedad y supervivencia mediana más corta (2, 3, 5).
El mecanismo molecular responsable de la transformación no se conoce, aunque existen evidencias inmunológicas y estudios moleculares basados en el reordenamiento de los receptores antigénicos linfoides que indican que los casos de MF/SS transformados a LCG tienen un origen clonal común (7, 8).
Presentamos seis casos de MF/SS transformados a LCG que hemos tenido oportunidad de estudiar en nuestro Servicio.
PACIENTES Y MÉTODOS
Criterios de inclusión
Realizamos un estudio retrospectivo de todos los pacientes con el diagnóstico de MF/SS transformada a LCG. Estos casos correspondían a una revisión de 50 pacientes con MF/SS vistos en el Servicio de Dermatología del Hospital Central de Asturias (Oviedo) y en la Sección de Dermatología del Hospital Virgen Blanca (León) entre el período de 1985 a 1998. Siguiendo los criterios de Salhany y cols. (3) aceptamos como casos transformados a LCG aquellos en los cuales las células grandes (> cuatro veces el tamaño de un linfocito pequeño) superaban el 25% del infiltrado o formaban nódulos microscópicos.
Evaluación clínica
En todos los pacientes se realizó una evaluación que incluyó al menos las siguientes exploraciones: exploración cutánea y general completa, hemograma con fórmula y VSG, determinación de células de Sézary en sangre periférica, bioquímica hemática, proteinograma, sistemático y sedimento de orina y radiografía de tórax. En aquellos casos que había adenopatías palpables se hizo biopsia ganglionar. Cuando clínicamente estuvo indicado se realizaron exploraciones complementarias, principalmente TAC toracoabdominal y biopsia de médula ósea. Para la clasificación y estadiaje se utilizó el sistema TNM propuesto por el Grupo Cooperativo de la Micosis Fungoide (9). Bajo el diagnóstico de SS se incluyeron aquellos pacientes con eritrodermia, linfadenopatías periféricas y más de un 10% de células atípicas circulantes de sangre periférica.
Análisis anatomopatológico e inmunohistoquímico
La valoración de las muestras histológicas e inmunohistoquímicas se realizó por tres observadores de forma independiente. En el estudio anatomopatológico se valoró la presencia de epidermotropismo, número de microabscesos de Pautrier y tipo de infiltrado (liquenoide, parcheado o difuso). El estudio inmunohistoquímico se practicó sobre cortes de parafina y se utilizó la técnica de avidina-biotina peroxidasa complex (10). Los marcadores utilizados para el estudio inmunohistoquímico fueron: 1) antígenos linfoides de línea T: CD3 (Novocastra, 1:100), CD5 (Novocastra, 1:25), CD43 (Becton Dic, 1:200) y CD45RO (DAKO, 1:500); 2) inmunotinción con el antígeno de activación CD30 (Ki-1) (DAKO, 1:20), y 3) inmunotinción con el antígeno de proliferación Ki-67 (Inmunotech, 1:50).
Análisis estadístico
La supervivencia se calculó en meses desde el momento del diagnóstico hasta el fallecimiento del paciente o su última referencia como dato vivo. Sólo se consideró como evento a la muerte en relación directa con el linfoma. Las curvas de supervivencia se obtuvieron por el método de Kaplan y Meier (11) y se compararon usando el test de log-rank. El programa estadístico utilizado fue SPSS 6.0 para Windows.
RESULTADOS
Resultados clínicos
En seis de 50 pacientes con MF/SS (12%) se desarrolló transformación a LCG (tabla I). Todos ellos eran varones y la edad media fue de 61 años (intervalo: 49-77). La localización inicial del LCG fue en la piel en cuatro casos, en los que se manifestó de forma de tumores cutáneos de crecimiento rápido, excrecentes, infiltrados en base, de coloración violácea y superficie lisa o erosiva con escamocostra superficial (Figs. 1 y 2). Los dos casos restantes se presentaron con clínica extracutánea, uno en forma de adenopatías axilares y otro con un cuadro de dolor abdominal por invasión de la pared gástrica.
FIG. 1.--Tumor localizado en cuello, violáceo, excrecente, infiltrado, con escamocostra superficial.
FIG. 2.--Tumor localizado en cara interna de tobillo, de tonalidad violácea y superficie erosiva.
La situación clínica y analítica de los pacientes en sus datos más relevantes, cuando se realizó el diagnóstico del LCG, se exponen en la tabla II. Cinco pacientes tenían MF y uno (caso 2) presentaba SS.
Resultados anatomopatológicos
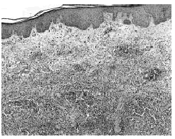
Los cuatro casos en los cuales el LCG se presentó en forma de tumores cutáneos tenían ciertas características morfológicas comunes. Se observaba un infiltrado difuso, de densidad variable, que ocupaba gran parte de la dermis; el infiltrado estaba compuesto predominantemente por linfocitos de tamaño grande, con núcleo irregular y uno o más nucléolos prominentes (Figs. 3 y 4). Entre estas células existía un número variable de linfocitos pequeños o medianos, cerebriformes, dispersos a través del infiltrado. En dos casos se observó una zona de dermis papilar parcialmente respetada (zona Grenz). El epidermotropismo se identificó en tres casos y los microabscesos de Pautrier en uno.
FIG. 3.--Infiltrado en dermis constituido por una proliferación linfoide (H&E, ×40).
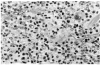
FIG. 4.--Linfoctos de tamaño grande con núcleo vesiculoso y nucléolo prominente. Algunos linfocitos son de pequeño tamaño y núcleo cerebriforme (H&E, ×400).
En el caso con transformación en ganglio se apreciaba borramiento y destrucción de la estructura ganglionar, con invasión de una proliferación celular pleomorfa, formada principalmente por linfocitos de tamaño grande, núcleo de aspecto vesiculoso y uno o más nucléolos. Se hallaban también, de manera aislada, linfocitos de tamaño pequeño o mediano con núcleos más hipercromáticos y ocasionalmente eosinófilos y células plasmáticas.
El estudio anatomopatológico de la pared gástrica en el paciente con transformación visceral mostró, de manera similar a los otros casos, una proliferación neoplásica de linfocitos, predominantemente de tamaño mediano o grande.
Resultados inmunohistoquímicos
Todos los casos conservaron, en mayor o menor grado, la expresión de antígenos linfoides de línea T CD3, CD5, CD45 y CD45RO. La inmunotinción con el antígeno de activación CD30 (Ki-1) fue positiva en tres pacientes, mostrando tinción preferentemente de membrana, con refuerzo paranuclear en región golgiana (Fig. 5). Un porcentaje alto (> 30%) de las células tumorales mostraron positividad para el antígeno de proliferación nuclear Ki-67.
FIG. 5.--Expresión del antígeno CD30 en las células del infiltrado (CD30 × 400).
Evolución y pronóstico
Los seis pacientes fallecieron en relación directa con su linfoma, y la supervivencia desde el diagnóstico del LCG fue baja (entre 1 a 20 meses) (tabla I). La supervivencia mediana desde el diagnóstico de la MF/SS era de 8 meses (la media de 31 meses). La supervivencia mediana de los pacientes con MF/SS que no desarrollaron transformación (44 casos) fue de 114 meses y mostró diferencias estadísticamente significativas con respecto a los casos transformados (p < 0,001).
DISCUSION
La transformación morfológica es un proceso descrito en diversas neoplasias hematológicas y linfoides donde, a menudo, se acompaña de un curso más agresivo de la enfermedad con mala respuesta a los tratamientos (12). En los últimos años han aparecido diversas publicaciones sobre la transformación de la MF/SS a LCG (2-6, 13-15), estimándose que ésta ocurre con una frecuencia variable dependiendo de los criterios utilizados para definirla y de la selección de pacientes.
Dmitrovsky y cols. (2) usando como criterio la presencia de más de un 50% de células grandes en el infiltrado hallaron transformación a LCG en 12 casos de 150 pacientes con MF/SS (8%). Posteriormente otros autores como Salhany y cols. (3) y Diamandidou y cols. (5) aceptaron como casos transformados a LCG aquellos en los que las células grandes constituían más del 25% del infiltrado o formaban nódulos microscópicos; de acuerdo a estos nuevos parámetros el porcentaje de casos transformados se elevó hasta el 19-23%. Nosotros, siguiendo estos mismos criterios de Salhany y cols. (3), encontramos transformación a LCG en seis de 50 pacientes con MF/SS (12%). Las diferencias halladas con el estudio de Cerroni y cols. (4), que obtuvieron un 55% de casos transformados, son debidas a la selección de pacientes de estos autores, ya que sus casos correspondían a linfomas cutáneos en fase tumoral.
En general se ha observado que la transformación a LCG ocurre con mayor frecuencia en los estadios avanzados de la enfermedad (2, 5), y especialmente en la fase tumoral donde alcanza cifras de alrededor del 50% (4, 5, 16). Diamandidou y cols. (5) encontraron que los factores predictivos de transformación eran el estadio avanzado y la presencia de LDH y beta2 microglobulina elevadas. En nuestra serie tres pacientes estaban en estadio avanzado de la enfermedad (dos casos con MF tumoral y uno con SS) y dos pacientes tenían células de Sézary en sangre o LDH elevada; no obstante, consideramos que el número limitado de casos en nuestro grupo dificulta poder extraer conclusiones.
En las distintas publicaciones se ha observado que en la mayoría de los casos la transformación tiene lugar inicialmente en la piel, manifestándose habitualmente en forma de tumores cutáneos (5, 6); no obstante, se han descrito casos con transformación a nivel ganglionar o de otros órganos (2, 3, 5). En dos de nuestros casos la transformación fue extracutánea, uno en forma de adenopatías axilares y otro con un cuadro de dolor abdominal por invasión de la pared gástrica.
La histopatología de la MF transformada a LCG se caracteriza por un infiltrado de células grandes, con cromatina vesicular y nucléolo prominente; adicionalmente a estas células es frecuente observar linfocitos pequeños o medianos, de aspecto cerebriforme, que acompañan al infiltrado y que junto al epidermotropismo y, ocasionalmente, microabscesos de Pautrier sirven de ayuda en el diagnóstico diferencial (3). Este infiltrado se dispone habitualmente de manera difusa en la dermis (3, 5). Es frecuente encontrar una zona Grenz en el centro del tumor (3). Todos nuestros casos con transformación cutánea presentaron un infiltrado difuso que afectaba a dermis en forma de células grandes, de núcleos irregulares y nucléolos patentes. En tres casos se halló epidermotropismo y en uno un microabsceso de Pautrier.
La inmunohistoquímica de los casos de MF transformada a LCG no difiere mucho de los tumores en las MF no transformadas (4), y no es raro encontrar patrones aberrantes, con ausencia o disminución en la expresión antigénica de uno o más marcadores pan-T, presencia de antígenos de activación y mayor expresión de los antígenos de proliferación (3, 4). Nosotros no hallamos pérdida en la expresión de los marcadores pan-T examinados; tres de nuestros casos eran CD30 positivos y otros tres CD30 negativos, sin que pudiéramos evidenciar diferencias de supervivencia entre ellos.
Stefanato y cols. (17) encontraron expresión del antígeno CD25 (receptor de interleucina 2) en seis de siete casos de MF/SS que posteriormente sufrieron transformación a LCG, sugiriendo que este marcador podría identificar un subgrupo de pacientes con riesgo de sufrir transformación. Recientemente Vergier y cols. (6) recomendaron la realización del marcador CD68 para el diagnóstico de los casos de MF/SS transformados a LCG con la finalidad de diferenciarlos de aquellas MF con abundantes histiocitos o granulomatosas.
Con frecuencia la transformación a LCG se acompaña de una evolución más agresiva y supervivencias bajas; esto motivó que Braverman (18) sugiriera a la transformación como una forma «acelerada» de la enfermedad o como un estadio más avanzado. Diamandidou y cols. (5) encontraron una supervivencia mediana de 37 meses para los casos transformados, desde el diagnóstico de la MF/SS, frente a los 163 meses de los no transformados (p = 0,0029). Salhany y cols. (3) hallaron una supervivencia mediana de 29 meses para los casos transformados frente a los 58 meses en los no transformados (p = 0,015); la supervivencia desde la transformación fue de 12 meses, siendo considerablemente más baja (8 meses) para la extracutánea que para la cutánea (19 meses). La supervivencia mediana en nuestra serie desde el diagnóstico de la MF/SS fue de 8 meses.
Entre los factores asociados con mal pronóstico para los casos transformados a LCG se han incluido la transformación precoz (5), el estadio avanzado (5), la transformación extracutánea inicial (3) y la diseminación extracutánea (6).
En conclusión, nosotros hemos observado que la transformación de la MF/SS a LCG se asocia a un comportamiento agresivo de la enfermedad, con supervivencia media baja.
















 
 
		
