Hasta una cuarta parte de los pacientes con liquen plano pueden tener lesiones localizadas en palmas y/o plantas (1). Aunque estas lesiones palmoplantares no muestran las características clínicas típicas de esa dermatosis, el diagnóstico no suele ofrecer dificultades porque habitualmente se pueden detectar signos de la enfermedad en otras localizaciones. En los casos en los que se planteen dudas, la biopsia de esas lesiones permite el diagnóstico porque aunque la clínica no sea típica, la histopatología sí lo es. Presentamos una enferma con un liquen plano que inicialmente sólo afectaba a palmas y plantas: el estudio histopatológico permitió el diagnóstico antes de que se desarrollase la erupción generalizada típica.
DESCRIPCION DEL CASO
Una mujer de 32 años, peluquera de profesión, sin antecedentes médicos ni quirúrgicos de interés, consultó en nuestro Servicio en agosto de 1997 por la aparición de unas lesiones muy pruriginosas que se habían iniciado 3 meses antes en las palmas de ambas manos y en las plantas de ambos pies, sin otras lesiones aparentes en el resto de la piel. No había tenido ningún episodio de estrés psíquico. En el momento de comenzar su erupción no estaba tomando fármaco alguno. Las lesiones las estaba tratando con Positón® pomada y cetirizina oral. En la exploración dermatológica se apreciaron en palmas y plantas dos tipos de lesiones: unas eran pápulas hiperqueratósicas, duras, de color amarillento, y las otras, pápulas violáceas, aplanadas, poligonales, con collarete descamativo periférico (Fig. 1). En arco plantar y en superficie palmar de muñecas esas lesiones adquirían un aspecto liquenoide franco, con evidentes estrías de Wickham. No existían lesiones fuera de las zonas mencionadas, en especial en las mucosas genital ni oral.
FIG. 1.--Aspecto clínico de las lesiones agrupadas en arco plantar con pápulas de diferente morfología.
Se realizaron las siguientes exploraciones complementarias que resultaron ser normales o negativas: una analítica general (hemograma, coagulación, bioquímica hemática y rutinario de orina), ANA y serologías luética (VDRL y TPHA) y para los virus de la hepatitis B y C. Las pruebas epicutáneas (True-test® y serie de peluquería) mostraron positividad para el níquel (+++) y el cobalto (++), siendo el resto negativas.
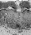
El estudio histopatológico de una de las lesiones palmares (Fig. 2) mostró una epidermis acantósica irregular «en dientes de sierra», con hiperqueratosis ortoqueratósica e hipergranulosis focal. En la dermis papilar había un denso infiltrado linfocitario en banda, bien demarcado en su límite inferior y que contactaba con la capa basal en su porción superior; ésta mostraba una degeneración licuefactiva con formación de hendiduras entre epidermis y dermis y presencia de cuerpos coloides de Civatte. Todos estos hallazgos confirmaron que se trataba de un liquen plano.
FIG. 2.--Imagen histopatológica típica de un liquen plano (HE, *40).
Tras realizar la biopsia se inició tratamiento con hidroxicina oral y un esteroide tópico de mediana potencia. A pesar de ello, las lesiones no sólo no cedieron, sino que se extendieron por brazos y piernas, con afectación también del dorso de manos y pies. Se instauró entonces un tratamiento con prednisona oral (25 mg/día) con suspensión paulatina en 4 semanas. Con esta terapéutica les lesiones comienzan a ceder lentamente, dejando unas máculas residuales pigmentadas todavía apreciables en el último control, realizado a los 6 meses de la primera consulta.
DISCUSION
Aunque para muchos autores la afectación de palmas y/o plantas en el liquen plano es infrecuente (2), en una revisión reciente Sánchez Pérez y cols. (1) encontraron lesiones en esas localizaciones en el 26% de sus enfermos. Habitualmente, las lesiones palmoplantares acompañan a las de otras localizaciones en el seno de una erupción generalizada típica, lo que facilita su diagnóstico (1, 3-5). Con menos frecuencia las lesiones palmoplantares son la forma de comienzo del liquen plano, por lo que durante algún tiempo pueden ser la única manifestación de esta enfermedad --esto acaeció en la cuarta parte de los pacientes de Sánchez Pérez y cols. (1) y en nuestra paciente--. La afectación exclusiva de palmas y/o plantas parece ser un hecho excepcional (6).
A pesar de que se han descrito diversos patrones clínicos en el liquen plano palmoplantar, en la mayoría de los casos esas lesiones pueden ser de dos tipos: a) pápulas eritematovioláceas descamativas con collarete periférico (75%), y b) pápulas hiperqueratósicas duras, en general aisladas, pero que ocasionalmente pueden concluir para formar una queratodermia difusa (25%) (1). Las lesiones plantares parecen tener predilección por el arco plantar (60%) y es excepcional la afectación de la superficie volar de los dedos de manos y pies (1).
Aunque clínicamente las lesiones palmoplantares pueden ser de difícil diagnóstico, el estudio histopatológico de las mismas es definitivo: independientemente de la morfología clínica, todas muestran las características histopatológicas típicas del liquen plano. Este hecho evita la confusión con otras entidades clínicamente parecidas (psoriasis, dermatitis alérgica de contacto liquenoide, enfermedad de Darier, enfermedad de Kyrle e hiperqueratosis palmoplantar).
La evolución y respuesta al tratamiento de las lesiones palmoplantares del liquen plano es idéntica a las del resto de la erupción. Günther (7) ha comunicado que las lesiones hiperqueratósicas responden muy bien a la administración tópica de ácido retinoico al 0,1%.
Hemos presentado a una paciente con un liquen plano que debutó con lesiones palmoplantares. La paciente exhibió simultáneamente los dos tipos clínicos de lesiones palmoplantares de este entidad, con características tanto clínicas (morfología de las pápulas, afectación del arco plantar y preservación de dedos) como histopatológicas típicas.




